Galapagos Species Database
The Galapagos Species Database shares the information about the species from our Natural History Collections.
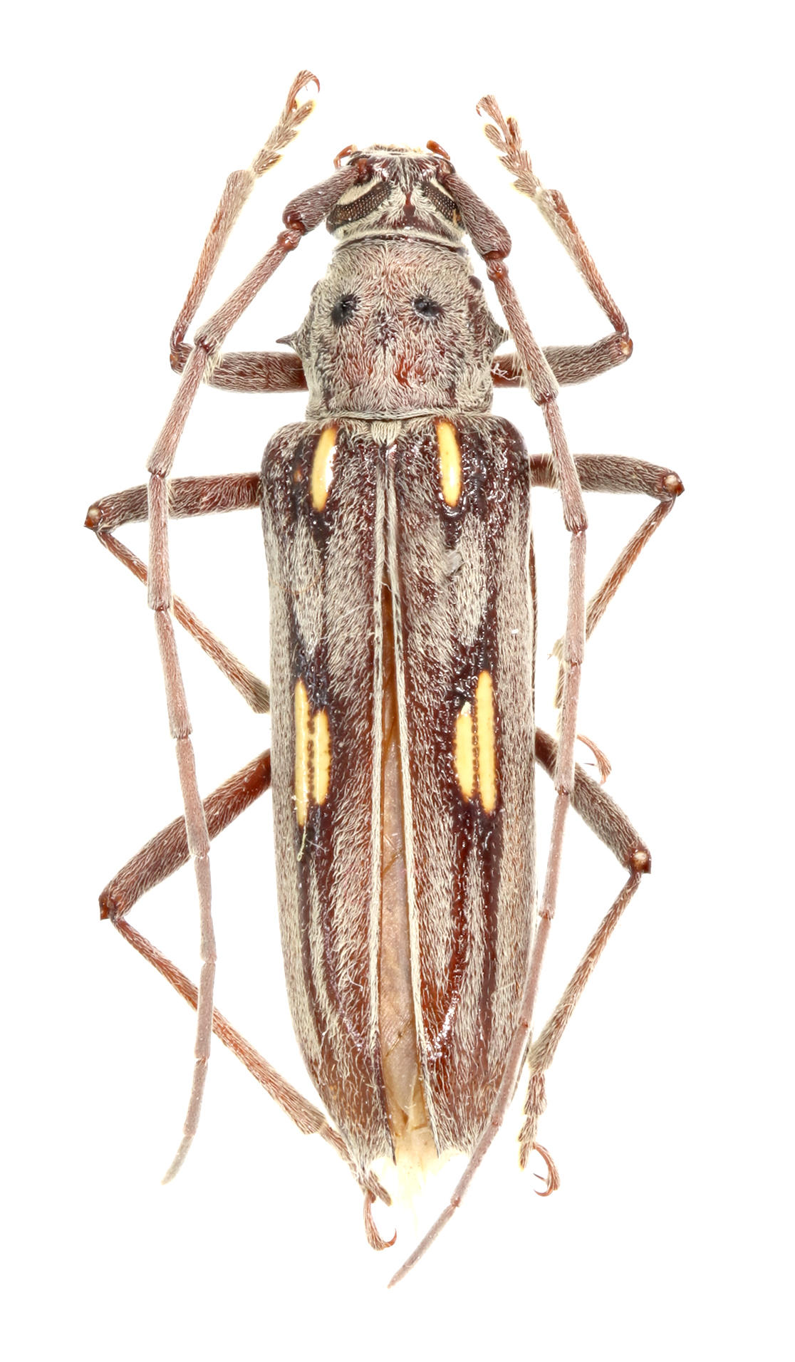
Eburia lanigera
escarabajo, squeak bug





Scavenger; littoral to humid forest zones; all months; at uv and white lights, malaise, FIT, beating. Host plants: Croton scouleri Hook. f., Scalesia affinis Hook. f., S. pedunculata Hook. f., Bursera graveolens (HBK.) Trian. & Planch.
Domain
Eukaryota
Kingdom
Animalia
Phylum
Arthropoda
Class
Insecta
Order
Coleoptera
Suborder
Polyphaga
Superfamily
Chrysomeloidea
Family
Cerambycidae
Section
Hesperophanini
Genus
Eburia
Species
lanigera
Taxon category: Accepted
Syn.: Eburia amabilis Boheman, 1859, fide Peck (unpublished)
Origin: Endemic
Map of specimen collection localities or observation records for this species in our collections database.
Distribution: Baltra, Campéon, Eden, Española, Fernandina, Floreana, Gardner (as Española), Genovesa, Isabela, Marchena, Pinta, Pinzón, Rábida, San Cristóbal, Santa Cruz, Santa Fé, Santiago, Seymour
- Blair, K.G. (1933) Further Coleoptera from the Galapagos Archipelago. Ann. Mag. Nat. Hist., ser. 10, 11: 471-487.
- Franz, H. (1985) Beitrag zur Kenntnis der Koleopterenfauna der Galapagos-Inseln. Österr. Akad. Wissensch. Mathem.-naturw. Kl., Abt. I, 194(1-5): 73-124.
- Linell, M.L. (1898) On the coleopterous insects of the Galapagos Islands. Proc. U. S. Natl. Mus. 21(1143): 249-268.
- Linsley, E.G. Chemsak, J.A. (1976) XXXI. Galapagos Cerambycidae (Coleoptera). Mission zoologique belge aux iles Galapagos et en Ecuador (N. et J. Leleup, 1964-1965) 3: 315-322.
- Linsley, E.G. (1977) Insects of the Galápagos (Supplement). Occassional Papers of the Califoria Academy of Sciences 125: 1-50.
- Linsley, E.G. Usinger, R.L. (1966) Insects of the Galápagos Islands. Proceedings of the California Academy of Sciences Fourth Series 33(7): 113-196.
- Linsley, E.G. Chemsak, J.A. (1966) Cerambycidae of the Galápagos Islands. Proc. Calif. Acad. Sci., 4th ser., 33(8): 197-235.
- McMullen, C.K. (2011) Pollination of the heterostylos Galápagos native, Cordia lutea (Boraginaceae) Plant Syst Evol (2012) 298:569-579
- Mutchler, A.J. (1938) Coleoptera from the Galapagos Islands. American Museum Novitates 981: 1-19.
- Mutchler, A.J. (1925) Coleoptera. From the Williams Galapagos Expedition. Zoologica 5(20): 219-240.
- Parkin, P. Parkin D.T., Ewing, A.W. & Ford, H.A. (1972) A report on the arthropods collected by the Edinburgh University Galapagos Islands Expedition, 1968. The Pan-pacific Entomologist 48: 100-107.
- Peck, S.B. (2006) The Beetles of the Galápagos Islands, Ecuador: Evolution, Ecology, and Diversity (Insecta: Coleoptera) NRC Research Press, Ottawa, Ontario, Canada. 314 pp.
- Van Dyke, E.C. (1953) The Coleoptera of the Galapagos Islands. Occasional Papers of the California Academy of Sciences 22: 1-181.
You are welcome to download and use the information found in this page, acknowledging its source.
This page should be cited as follows:
"Galapagos Species Database, Eburia lanigera", dataZone. Charles Darwin Foundation, https://datazone.darwinfoundation.org/en/checklist/?species=5808. Accessed 4 April 2026.